

VRWC has two different roadwalk courses in Middle Park.
Our Club Course runs alongside our headquarters at the Middle Park
Bowling club and is 2km in length. The start/finish line is just
outside the bowling club's back gate and is exactly in the middle. That
means that 1km lapsplits are very easy to determine, with 1km in the
northern loop and 1km in the sourthern loop. This course is AIMS
Certified so that performances done on it can be forwarded to Athletics
Victoria and Athletics Australia with confidence. The course is flat,
reasonably wide, free of all motorised traffic and on a good bitumen
surface. This course is used on most VRWC racing days, hence we call it
our 'Club Course'.

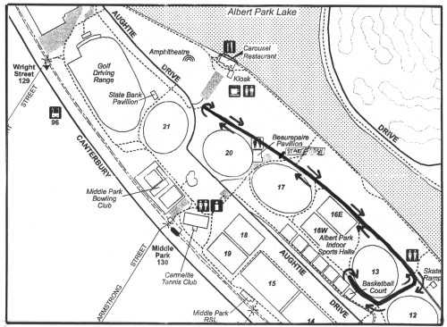
Our Championship Course is alongside the Beaurepaire Pavilion and some 300m walking distance from our club headquarters at Middle Park Bowling Club. Like our Club Course, it is AIMS certified and is 2km in length. However, unlike the Club Course, the start/finish line is not exactly in the middle. But that is the only difference - it is flat, quite wide, free of all motorised traffic and on a good bitumen surface. We do not use this course regularly because of the extra work involved in ferrying our equipment to and from the start line. We will notify competitors in advance on the occasions when we use it.
